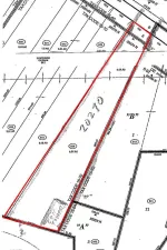
Highly visible and accessible +/- 7.5 acres located at the NE corner of Route 176 and Westridge Drive. Great location at signalized intersection with excellent visibility, access and traffic counts. Ideal for retail, fast food, convenience, or other uses. Mostly level site. Utilities to site.
Property Details
Price:
$1,500,000
MLS #:
MRD09102372
Status:
Active
Beds:
0
Baths:
0
Type:
Land
Subdivision:
Westridge
Neighborhood:
islandlake
Listed Date:
Dec 15, 2015
Schools
School District:
118
Elementary School:
COTTON CREEK SCHOOL
Middle School:
MATTHEWS MIDDLE SCHOOL
High School:
WAUCONDA COMM HIGH SCHOOL
Interior
Exterior
Financial
Tax Year
2022
Taxes
$319
Listing Agent & Office
Sean Ryan
Ryan and Company REALTORS, Inc
See this Listing
Mortgage Calculator
Map
Similar Listings Nearby

Copyright 2026. All rights reserved.
NEC Route 176 & Westridge Drive
Island Lake, IL


Recent Comments